Land in Oroklini, Larnaka, No. 47323
11

ID47323
€ 775 000
- EUR €
- USD $
- RUB ₽
- GBP £
- TRY ₺
Property description
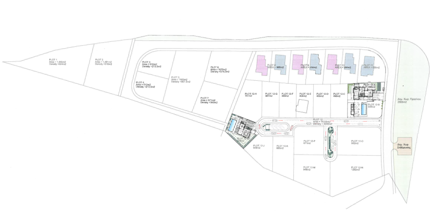
These plots offer flexible purchase and development possibilities in a sought-after area. Plots 1–7 are available as land only, providing an excellent opportunity for custom development, while plots 12A–12P are offered specifically for house construction. This combination of options makes the location suitable for both investment and residential planning.Built Up Area (m2) for plots 12A–12P is available upon request.
Contact the seller
CityOroklini
TypeLand
Land area465 m²
- m²
- sq. ft
Price
- Price
- per m²
€ 775 000
- EUR €
- USD $
- RUB ₽
- GBP £
- TRY ₺
Similar offers





